El buque oceanográfico Ángeles Alvariño cesa las operaciones de búsqueda en Canarias tras un mes de trabajos
02/07/2021
- El IEO ha contribuido a las labores de rastreo con el buque oceanográfico y el submarino no tripulado Liropus 2000
- Se ha cartografiado un área de 250 km2 y realizado 392 horas de filmación
El buque oceanográfico Ángeles Alvariño posee la última tecnología para la investigación oceanográfica. Destaca su sistema de posicionamiento dinámico, capaz mantener el buque en un punto de forma automática gracias a un sistema que corrige la deriva y movimiento del barco. Además, está especialmente diseñado para obtener datos acústicos con diferentes sondas de forma muy precisa.
Madrid, jueves 1 de julio de 2021. El buque oceanográfico Ángeles Alvariño ha cesado las operaciones de búsqueda de Anna y Tomás Gimeno, por orden judicial, tras un mes de trabajos en la zona marítima delimitada por los investigadores de la Guardia Civil. En estas semanas, se cartografió un área de 250 km2 entre aproximadamente 100 y 2.000 metros de profundidad y se filmaron 392 horas en las inmersiones del ROV Liropus 2000, el vehículo submarino no tripulado para la exploración del fondo.
El buque ha emprendido su regreso a la península después de que se haya autorizado el cese de las operaciones, dado que tanto la autoridad judicial que investiga el caso como el responsable de operaciones del buque han concluido que es “imposible” continuar con el rastreo ante lo escarpado del terreno submarino.
Durante sus labores de rastreo, el buque oceanográfico encontró varios objetos relacionados con la desaparición de las menores. Tras hallar una funda nórdica y una botella de buceo, el Liropus 2000 encontró una bolsa en la que estaba el cuerpo de una de las dos niñas, Olivia Gimeno.
El director del IEO, Javier Ruiz, explica que “localizar un objetivo de dimensiones tan pequeñas a unas profundidades oceánicas tan grandes supone sin lugar a dudas un hito mundial”. “Muestra de ello es la cantidad de pecios que permanecen desde hace siglos en el fondo del mar aun conociendo el área donde se perdieron o, más recientemente, la desaparición de grandes aviones que caen al océano y no pueden ser encontrados”, explica.
A juicio del director del IEO, “este hito mundial es el resultado de la colaboración y coordinación estrecha y precisa entre los Ministerios de Interior y de Ciencia e Innovación”.

Un mes de trabajos en aguas canarias
El pasado 20 de mayo, el Instituto Español de Oceanografía (IEO-CSIC) recibió el mandamiento judicial para que, con los medios a su alcance, auxiliase a la Guardia Civil en las labores de búsqueda de tres personas desaparecidas al este del puerto de Santa Cruz de Tenerife.
Desde la Dirección del IEO se evaluó la viabilidad de organizar un operativo muy complejo con la rapidez que exigía la situación. Con el apoyo de la Unidad de Buques del IEO se movilizaron para la misión los mejores expertos y la tecnología más puntera disponible, incluyendo el buque oceanográfico Ángeles Alvariño y el robot submarino Liropus 2000.
La planificación del dispositivo y el detalle del trabajo se realizó con la suficiente urgencia como para que el 23 de mayo zarpara de Ferrol el buque oceanográfico Ángeles Alvariño, un laboratorio flotante dotado con las últimas tecnologías para la investigación marina, incluido el vehículo operado remotamente (ROV) Liropus 2000, un instrumento único en España que permite realizar tareas de observación y recogida de muestras y datos hasta una profundidad de 2.000 metros.
Ambas tecnologías, buque y ROV, forman un tándem único para la exploración de los ecosistemas y fondos marinos. Tanto el buque como el vehículo submarino poseen un sistema de posicionamiento que permite a los científicos, primero, situar el barco con una gran precisión en las coordenadas necesarias, segundo posicionar el ROV en las profundidades con igual grado de exactitud y, por último, buque y ROV son capaces de desplazarse en conjunto, evitando que el cable umbilical que les une y que transmite toda la información se enrede o se dañe. “Operar desde una superficie marina sujeta a viento y oleaje un equipo de precisión mediante un cable electromecánico de más de un kilómetro de longitud para explorar en profundidad cada palmo del fondo oceánico solo es posible mediante una madurez tecnológica al alcance de pocos países, tanto por la tecnología de última generación necesaria como por el equipo humano que debe gestionar buque e instrumentos”, explica el director del IEO.
Antes de zarpar rumbo a Tenerife, se pusieron a punto todos los equipos en Ferrol. En especial, se probó una metodología muy novedosa que consistió en instalar un sonar de barrido lateral en la estructura que permite el descenso del ROV -una especie de nave nodriza que se conoce como TMS-. El sonar de barrido lateral permite obtener mediante pulsos acústicos una imagen de mucho detalle del fondo marino, un detalle que es mayor cuanto más cerca se encuentre el instrumento del fondo y cuya amplitud de visión es superior a la de las cámaras. Para poder hacer uso de esta tecnología en aguas profundas con la urgencia y requisitos de la situación se instaló el sonar en el TMS, lo que permitiría obtener imágenes del fondo con una resolución centimétrica y con una cobertura de 20-30 metros perpendiculares a cada una de las líneas que traza el barco en su recorrido de búsqueda.
Tras las pruebas iniciales, el Ángeles Alvariño continuó rumbo a Tenerife y el 30 de mayo comenzaron los trabajos, 10 días después de recibir el mandamiento judicial.
El equipo humano a bordo del Ángeles Alvariño estuvo compuesto por cinco científicos del IEO apoyados por los técnicos del ROV y del sonar de barrido lateral, así como la tripulación del buque que han trabajado incansablemente durante más de un mes, realizando turnos de 12 horas, lo que ha permitido mantener las labores de búsqueda de forma ininterrumpida. El equipo científico del IEO lo han conformado tres geólogas marinas y dos tecnólogos que han sido los encargados del trabajo a bordo bajo la dirección, como suele ser habitual en cualquier trabajo científico en el mar, de un jefe de campaña. Un trabajo que ha sido coordinado en tierra por el jefe de la Unidad de Buques, la jefa de área de Medio Marino y la Dirección del IEO.
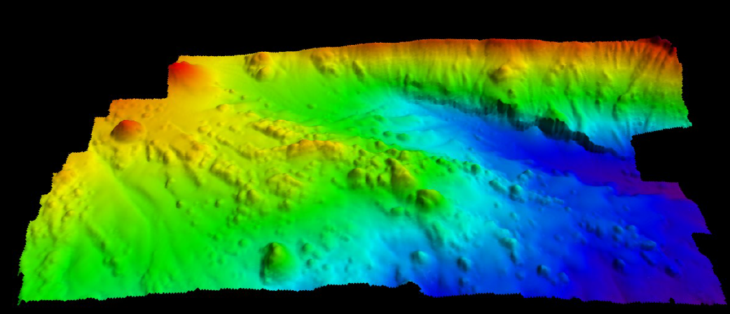
Debido a que la topografía de la zona de búsqueda solo se había cartografiado hasta la fecha con una baja resolución, el primer objetivo fue obtener un levantamiento batimétrico de gran detalle y precisión. Para ello se utilizó la ecosonda multihaz del buque oceanográfico. Se obtuvo una cartografía de un área de 250 km² entre aproximadamente 100 y 2000 metros de profundidad con una resolución de 15 metros y, dentro de esta área, cartografías de más detalle de cuatro zonas delimitadas por la investigación de la Guardia Civil. Estas zonas, que suman unos 12 km², se cartografiaron con una resolución de 5 metros. Con esta información se elaboraron mapas de la morfología y del tipo de fondo con el detalle suficiente para permitir la navegación segura del ROV.
Tras cartografiar y analizar la morfología y tipos de fondo, se puso en marcha el sonar de barrido lateral que, tal como se había configurado durante las pruebas, se instaló en la estructura del ROV con la idea de obtener mapas de una resolución centimétrica con una cobertura mucho mayor, y por tanto de forma más rápida, que lo que podría hacerse observando el fondo con las cámaras del ROV. Sin embargo, una vez comenzada la prospección, se observó que el movimiento del TMS en su desplazamiento impedía obtener la nitidez necesaria para discriminar objetos en los registros obtenidos, por lo que se desestimó su uso.
Las áreas de búsqueda en el fondo podrían ser difíciles de delimitar ya que, aun sabiendo el recorrido efectuado por la embarcación, el desplazamiento que por efecto de las corrientes tiene un objeto arrojado desde la superficie hasta que llega al fondo, es decir la deriva, puede hacer que ambos no sean coincidentes. Para conocer la posible deriva, los científicos llevaron a cabo una serie de pruebas con las que tener en cuenta el efecto de las corrientes en la delimitación del área de rastreo. Para ello lanzaron al agua desde una posición conocida una bolsa lastrada con una baliza submarina. Una vez en el fondo, localizaron la bolsa con el ROV y calcularon la deriva provocada por la corriente que fue de unos 40 metros. Estos resultados permitieron a los científicos trabajar con la certeza de que podían acotar el área de búsqueda a las áreas definidas. De esta forma, finalmente se desestimó el uso del sonar de barrido lateral por los problemas que estaba presentando y se centró el trabajo en la observación visual directa mediante las cámaras del ROV.
“Parecía imposible que pudiéramos localizar nada pero gracias al brillante trabajo previo de la policía judicial y su precisión al acotarnos las zonas de búsqueda y al comprobar que el efecto de las corrientes era mínimo nos dimos cuenta que podríamos llegar a tener éxito si planificábamos el trabajo de manera adecuada y así fue”, explica Ignacio Franco, jefe de campaña y coordinador de los trabajos a bordo.
Una vez obtenida toda esta información, se planificaron exhaustivamente las inmersiones del ROV Liropus 2000 que fue barriendo el fondo siguiendo líneas perpendiculares a la trayectoria del barco pero paralelas entre sí y con una distancia entre ellas menor de 5 metros, de forma que se inspeccionó visualmente todo el área. En total se han realizado un total de 392 horas de filmación casi continua. La navegación del ROV, gracias a la estabilidad que le da el TMS y al posicionamiento centimétrico que realiza respecto al barco, permite seguir las líneas con total precisión y filmar cada palmo del área de estudio.
“Uno de los problemas para trabajar con tanta precisión y que el posicionamiento del buque y el ROV sea perfecto es que cuando las condiciones de viento y oleaje no son favorables se supera la capacidad del sistema para el posicionamiento centimétrico que ha requerido la operación, lo cual en ocasiones ha limitado la misión durante los días en los que los vientos alisos han sido más intensos”, explica Pablo Carrera, jefe de la Unidad de Buques del IEO.
Por otra parte, el ROV Liropus 2000 es un equipamiento muy sofisticado que requiere de unos mantenimientos muy detallados que deben seguirse rigurosamente para su correcto funcionamiento. En condiciones normales, además de otros mantenimientos menores, cada 120 horas requiere de una puesta a punto completa. El ROV no está diseñado para este tipo de operaciones con un uso tan intenso, por lo que el número de averías se ha ido incrementando a lo largo de la búsqueda y su operatividad se ha ido reduciendo. Pese al gran trabajo a bordo de los ingenieros, que han realizado numerosas reparaciones, el ROV terminó trabajando con una operatividad del 50% cuando normalmente es de casi el 100% y, en los últimos días, su estado ha comenzado a suponer un riesgo para la navegabilidad, lo que podría suponer su pérdida. A pesar de ello, explotando los límites para los que esta tecnología fue diseñada, fue capaz de explorar con detalle todo el fondo marino técnicamente viable con esta metodología.
El buque Ángeles Alvariño
El 24 de febrero de 2012 se botó en la ciudad de Vigo el buque oceanográfico Ángeles Alvariño, una embarcación casi gemela del buque oceanográfico Ramón Margalef, que se sumó a la flota del IEO en septiembre de 2011.
El Ángeles Alvariño tiene 46 metros de eslora y en su construcción y equipamiento se invirtieron aproximadamente 20 millones de euros, provenientes del IEO y de fondos FEDER. Este barco, construido por la empresa Astilleros Armón Vigo, aportó a la flota oceanográfica nacional y europea un laboratorio flotante dotado con las últimas tecnologías que ha permitido una notable mejora en la investigación en ciencias del mar.
El Ángeles Alvariño y el Ramón Margalef se construyeron con diseño y tecnología española y supusieron un antes y un después para lograr una posición de punta tecnológica a escala mundial a los astilleros, empresas y profesionales vinculados a estos dos buques. Ambos buques han sido la referencia y el modelo a seguir, al menos a escala europea, para la nueva generación de buques oceanográficos de tipo regional, lo que ha colocado a la industria naval española –y en concreto a los astilleros de Vigo– en una posición de vanguardia que les permite a día de hoy competir internacionalmente de forma ventajosa en este nicho de mercado. Un buen ejemplo de cómo la inversión en ciencia revierte de forma directa en el tejido productivo, en las expectativas de negocio de las empresas, algo fundamental para cambiar el modelo productivo español.
El Ángeles Alvariño está catalogado como un buque de ámbito regional. Cuenta con capacidad para alojar a 15 investigadores y técnicos, además de sus 12 tripulantes. También cuenta con un diseño que asegura niveles muy bajos de ruido radiado al agua, lo que le permite trabajar sin alterar el comportamiento natural de la fauna marina. El buque desarrolla su actividad en el ámbito nacional y mares adyacentes, y cuenta con la tecnología más avanzada para estudiar la geología marina, oceanografía física y química, biología marina, pesquerías y control medioambiental. Además, el barco está preparado para enfrentar situaciones climáticas adversas y preservar la seguridad de sus tripulantes.
El barco cuenta con tres motores generadores diesel de 846 kW y dos motores eléctricos propulsores en tándem de 900 kilovatios. Un sistema de optimización de la eficiencia energética permite aumentar la potencia sin incrementar el consumo. El proyecto del buque tiene la categoría Clean Ship dado su respeto hacia el medio ambiente y la calificación Confort+, que se otorga a los barcos que cumplen las más altas exigencias en materia de habitabilidad y confort para la tripulación.
El ROV Liropus 2000
El Liropus 2000 es un vehículo submarino no tripulado, operado remotamente desde el buque, y que permite explorar los fondos marinos hasta 2000 metros de profundidad. Se trata del modelo SUPER MOHAWK II con seis motores que le confieren una gran potencia y que le permite llevar instrumentos científicos de medición y toma de muestras. Está equipado con sondas para medir temperatura, presión y salinidad, un correntímetro de efecto Doppler (para estudiar las corrientes a las diversas profundidades de trabajo), un potente sistema de iluminación de 17.000 lumens de potencia y cámaras de altas prestaciones para garantizar la gran calidad de las imágenes grabadas en profundidad. También dispone de dos brazos manipuladores hidráulicos de precisión para la recogida de objetos y de un sistema de succión para muestras líquidas y gaseosas. Además, su capacidad técnica y operativa se puede ampliar con nuevos equipamientos para dar respuesta a las demandas surgidas en cada proyecto de investigación.
El Liropus permite la observación directa de los hábitats y de las comunidades biológicas en su estado natural, apreciando su estructuración y sus características ecológicas fundamentales, así como la toma de muestras de manera selectiva sin producir impactos en los mismos. Por ello, su uso principal consiste en la exploración y estudio de hábitats profundos con el objetivo de contribuir a su conocimiento y protección. En este sentido, el uso del ROV ha sido fundamental desde su adquisición hace 10 años para explorar por primera vez grandes áreas marinas profundas y ha contribuido a que, a día de hoy, más de un 10% de los fondos marinos de España estén protegidos.
Además de estos trabajos, el ROV Liropus ha sido fundamental en misiones de enorme relevancia. Cabe destacar la filmación y toma de muestras durante la erupción submarina de El Hierro en 2011 o la exploración del pecio “Nuestra Señora de Las Mercedes” donde se pudo filmar el estado del yacimiento tras su expólio y recuperar objetos tan pesados como cañones o tan delicados como cuberterías.
La adquisición del Liropus supuso una inversión inicial de 1.500.000 euros, financiada al 80 por ciento con fondos FEDER y el 20 por ciento restante con presupuesto del IEO, estando está actuación incluida en el Convenio FEDER (FICTS-2010-01-1) establecido con el entonces Ministerio de Ciencia e Innovación.

